28.10.2025 - 12:02
|
Actualització: 28.10.2025 - 22:16
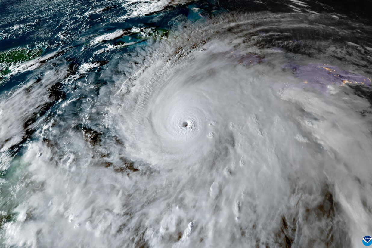
L’huracà Melissa ja fa hores que castiga Jamaica després d’haver tocat terra com a huracà de categoria cinc —la màxima de l’escala Saffir-Simpson—, amb vents sostinguts de fins a 295 km/h. El Centre Nacional d’Huracans dels Estats Units ha confirmat que, una vegada endinsat a l’illa, el cicló ha perdut lleugerament força i ara es manté com a categoria quatre, però continua essent una “amenaça extremadament perillosa”, amb vent violent, inundacions sobtades i marejades ciclòniques potencialment mortals.
Les autoritats insisteixen que la població no abandoni en cap cas els refugis, ni tan sols si es produeix la calma aparent del pas de l’ull del cicló. Institucions locals i mitjans internacionals informen ja de danys extensos a hospitals, centres educatius i carreteres, especialment a les parròquies del sud-oest de l’illa. Segons fonts oficials, set persones pel cap baix haurien mort fins ara a conseqüència directa o indirecta del pas del Melissa, entre Jamaica, Haití i la República Dominicana.
https://www.youtube.com/watch?v=yU54j3dgIm8
L’Organització Meteorològica Mundial (OMM), dependent de l’ONU, fa hores que alerta que Jamaica afronta “la tempesta del segle”. Ara ja no és una predicció: el pitjor és sobre el territori. Abans de l’impacte, l’huracà ja havia causat talls elèctrics massius: més del 35% de la població es troba sense llum, especialment a les parròquies de Saint Elizabeth, Manchester, St. James i Hanover. El govern confirma que prop de sis mil persones són ja als refugis habilitats i que l’exèrcit jamaicà té activat el dispositiu de rescat, preparat per intervenir tan bon punt les condicions ho permetin.
El govern ha activat més de vuit-cents refugis repartits per l’illa i ha ordenat evacuacions en zones especialment exposades a inundacions i esllavissades. Les autoritats sanitàries han començat a traslladar pacients vulnerables d’alguns hospitals costaners i han restringit les operacions quirúrgiques no urgents per alliberar llits. Els aeroports i ports romanen tancats, i s’ha demanat a la població que tanqui finestres i portes, que retiri objectes que puguin ser projectats pel vent i que eviti per cap motiu sortir al carrer.
Els serveis meteorològics alerten que els riscs no s’acaben amb la pèrdua de força del vent. L’acumulació de pluja prevista pot doblar en algunes zones la que sol caure en tota una temporada, i això pot deixar incomunicades comunitats senceres. La combinació de pluges torrencials, esllavissades i augment del nivell de la mar pot convertir en inhabitables moltes àrees costaneres i del territori interior. Les previsions indiquen que, un cop hagi travessat Jamaica, el Melissa es desplaçarà cap a Cuba, on més de 160.000 persones ja han estat evacuades preventivament, i posteriorment impactarà a les Bahames.
La Federació Internacional de la Creu Roja calcula que el Melissa pot afectar directament prop d’un milió i mig de persones a Jamaica, amb danys a gran escala a cases, serveis bàsics i carreteres.
🌀 #HurricaneMelissa has intensified to Cat. 5 strength in the Caribbean.
WMO and its partners, including @MetserviceJA, are working together to support countries in the path of the storm.
Keep up to date:
🔗 https://t.co/nr1pQlRTJx
🔗 https://t.co/fNSzy9c9ZWCredit: @NOAA pic.twitter.com/eJTDHuWU2Z
— World Meteorological Organization (@WMO) October 27, 2025

