Bettino Sánchez
Ja és gros que l'independentisme done un suport tan acrític a aquest personal i, sobretot, és simplement incomprensible que tinga tanta por de trencar-hi la relació
Entrevista a l'ex-director del Washington Post per a parlar de Trump, Bezos i el periodisme independent
Tulsi Gabbard deixa el càrrec per motius personals després del diagnòstic de càncer al seu marit
La primera ministra, Danielle Smith, sotmetrà la proposta a votació el 19 d’octubre a la província
L’ex-president cubà és acusat d’assassinat i destrucció d’aeronaus pel cas de les avionetes de Brothers to the Rescue
Dos dels atacants han aparegut morts dins un vehicle prop del lloc dels fets
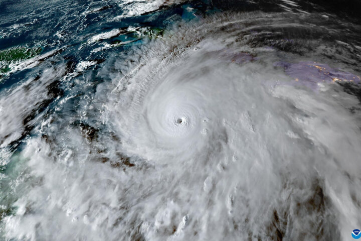
La manca d’electricitat obliga els hospitals a suspendre cirurgies i limitar serveis bàsics
Entrevista al reconegut antropòleg i sociòleg, nascut a Mèxic, fill d'Anna Murià i Agustí Bartra, i ponent de la càtedra Ferrater Mora de la Universitat de Girona.
Antonio Seguí, amb avis de Ciutadella, va néixer a Córdoba el 1934 i fou considerat un dels ambaixadors artístics de l'Argentina
El jurat no aconsegueix un veredicte unànime i deixa en l’aire la causa per violació a Nova York
El tribunal considera que el govern ha d'abordar la qüestió amb els pobles autòctons abans de permetre la recollida de signatures per a la consulta
Marco Rubio s'ha fet una fotografia amb el mateix model de xandall que duia Nicolás Maduro quan fou capturat il·legalment
El president dels EUA critica l'actuació del govern mexicà contra el narcotràfic: “Si ells no fan la feina, la farem nosaltres”
El document va aparèixer dins una novel·la gràfica que tenia el seu company de cel·la a la presó federal de Manhattan, i ha estat desclassificat aquest dimecres després d'una petició en aquest sentit del "New York Times"
La mandatària aprofita la commemoració de la batalla de Puebla per criticar amb duresa la ingerència exterior i reivindicar la sobirania
Pete Hegseth diu al règim iranià que actuï amb prudència després dels atacs als Emirats Àrabs Units
El portaveu de l'ex-batlle de Nova York no ha concretat el motiu de l'ingrés
El president dels Estats Units intensifica la tensió amb l’OTAN i els seus aliats europeus
Ha descrit en to humorístic una possible intervenció militar a l'illa durant un acte públic
El president dels EUA diu que no demanarà l'aval del congrés per a continuar la guerra contra l'Iran
El president dels EUA evita grans moviments al Llevant abans de visitar la Xina i fa mans i mànigues per esquivar l'autorització militar del congrés
"L'Iran no aconsegueix organitzar-se. No saben com signar un acord no nuclear", diu el president dels EUA
El rei britànic envia un dard al president dels EUA, que prèviament l'havia col·locat en un embolic diplomàtic en un banquet a la Casa Blanca
El president dels EUA s'enganxa amb una periodista de la CBS arran del contingut de la nota de Cole Allen, que el titllava de “pedòfil, violador i traïdor”
Cole Allen deixava clara la intenció d’atacar càrrecs públics “del més alt al més baix”
Trump assegura que l'atac és "una qüestió religiosa" i que Cole Allen era "fortament anticristià"
Les autoritats cubanes denuncien “les amenaces d’agressió militar” i el “setge total als subministraments”
Representants d’arreu del món asseguren que “la violència no té cabuda en una democràcia”
És un professor i desenvolupador de videojocs, de 31 anys, amb residència a Califòrnia
Assegura que és un edifici segur, amb vidres antibales i resistent als atacs amb drons
Un grup d'agents s'ha emportat el president dels EUA, que ha caigut a terra quan intentava d'abandonar l'estrada
El president dels EUA ha estat evacuat sa i estalvi · L’agressor, que ha ferit un agent del servei secret, ha estat detingut
Un correu intern del Pentàgon proposa opcions per sancionar els estats que considera que no col·laboren prou amb els EUA
El règim adverteix que qualsevol atac des dels països del Llevant serà el final de la producció regional de petroli
El president dels EUA diu que no hi ha indicis d'acord i assegura que no vol prorrogar l'alto-el-foc
Els manifestants han arribat a ocupar l’edifici d’oficines Cannon de la Cambra de Representants, a Washington
L’atacant va obrir foc des de la part alta del monument i s'ha suïcidat després dels trets
El president dels EUA assegura que el vaixell està sota control nord-americà
La policia de Shreveport descriu el tiroteig com una "disputa domèstica"